Please enable JS

Visia 7 Analisis Facial Visualiza la superficie de la piel en tres dimensiones.

Captura FÁCILMENTE imagenes consistentes, transformando la práctica del cuidado de la piel a nivel mundial, la avanzada tecnología VISIA´s ofrece evaluaciones significativas de la piel, en la pantalla e informes impresos, y un seguimiento del progreso del tratamiento. Aumenta el rendimiento con valores cuantitativos para las características de la piel que anteriormente solo podían ser evaluados subjetivamente.

IMÁGENES FACIALES REPETIBLES VISIA el sistema de posicionamiento facial de puntos múltiples en vivo, permiten hacer un registro perfecto en alta resolución y alta calidad para documentar sus tratamientos y procedimientos.

CLASIFICACIÓN DE LA PIEL

CLASIFICACIÓN DE LA PIEL con respecto a su grupo Utilizando la base de datos más grande de la piel del mundo, característica, comparar la edad de su piel del paciente con otras personas de su edad cronológica y tipo de piel. ANÁLISIS DE PESTAÑAS. Exclusivo nuevo análisis que las pestañas se evalúan los resultados del tratamiento del latigazo mejora con evaluación numérica y visualizaciones gráficas.

Visia caso

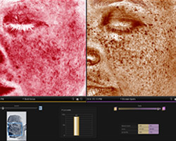
REPORTES PERSONALIZADOS

REPORTES PERSONALIZADOS proporciona al paciente reportes personalizados fáciles de entender, incluyendo las recomendaciones para tratamientos y cuidado de la piel. EVALUACIÓN CUANTITATIVA de las características de la piel medición de puntos (pigmentación), arrugas, textura, poros, punto UV spots, puntos cafés, áreas enrojecidas, porfirinas, y fotodaño.

Visia caso

Visia 7 y su mejoría en herramientas

Portal Web Protegido por contraseña, los pacientes pueden ver su imágenes Visia, el análisis y recomendaciones de tratamiento en la comodidad y la privacidad de su propio hogar. Los médicos pueden acceder a un panel rico en características con muestras analíticas claras. Un avanzado tablero que muestra claramente las visitas del cliente páginas vistas, uso de VISIA, recomendaciones, y más.

Aplicación de consulta VISIA para iPad

Permite el acceso a su base de datos en red de imágenes y datos del cliente desde su práctica, combinando consultas estéticas completa. Mejorada selección de recomendaciones de producto, soporte multi-idioma en la comodidad de una tablet.

KITS DE TRATAMIENTO DE REINICIO FACIAL

FOTOGRAFÍA UV

El modo foto UV de VISIA proporciona los datos más completos disponibles para la evaluación de daño solar y su análisis, incluyendo imágenes de fluorescencia ultravioleta para revelar las porfirinas. imágenes de rayos UV que pueden ser vistos con o sin procesamiento de color.
VISIA claramente

CLARAMENTE

Comunica los beneficios de los avanzados tratamientos de rejuvenecimiento, además del seguimiento, progreso y resultados a través del tiempo, con VISIA amplia la capacidad de análisis de las imágenes.
Visia RÁPIDAMENTE

RÁPIDAMENTE

Genera reportes personalizados incluyendo recomendaciones para el tratamiento de rejuvenecimiento facial y seguimiento de cuidado de la piel. Los reportes también sirven como un ayuda valiosa para aumentar los pacientes referidos.

Visia RÁPIDAMENTE

FACILMENTE

Captura imágenes faciales consistentes con un análisis instantáneo de 8 características de la piel.

especificaciones tecnicas equipo geneo+